
Pero lo mejor de este hotel, y de estos hoteles de playa
en la costa del Mar Rojo, ya sea en Egipto, en Jordania o en
Israel, es que tienen una maravillosa barrera de coral muy
accesible, ya que se encuentra a unos 50 metros de la costa
(fotos 1 a 3), y cada hotel monta una plataforma-andador que
te permite llegar a mar abierto al otro lado de la barrera
(fotos 4 a 6), y simplemente con un sencillo snorkel
disfrutas de una de las maravillas más grandes de la
naturaleza que son los corales y los peces que viven en su
entorno.
El disfrute es máximo y muy seguro. Con un salvavidas
vigilando y la ayuda de cuerdas y flotadores que te permiten
descansar o pararte a disfrutar de la vida marina, incluso
los niños lo pueden disfrutar. No hay palabras, simplemente
es maravilloso, toda una experiencia que nadie debería
perderse (fotos 7 a 11).
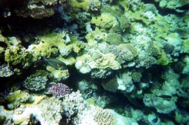
Nos compramos una de esas cámaras acuáticas malucha de un
solo uso para hacer unas fotos bajo el agua (fotos 12 a 15),
pero absolutamente nada que ver con la realidad, estas fotos
no reflejan lo absolutamente maravilloso que es bucear en
una barrera de coral, en este caso la del Mar Rojo que es la
segunda más larga del mundo después de la Gran Barrera de
Coral australiana...